MỚI NHẤT!

Đọc nhanh >>
Tin tức, bài viết mới nhất về

Cơn bão mạnh nhất tháng 4 trong 49 năm

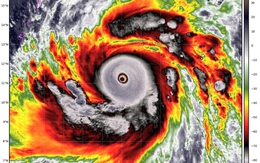
Sinlaku đạt cấp siêu bão, là một trong ba cơn bão mạnh nhất tháng 4 trong 49 năm

Sinlaku đạt cấp siêu bão, là một trong ba cơn bão mạnh nhất tháng 4 trong 49 năm

13/04/2026 07:18

Theo Trung tâm Dự báo khí tượng thuỷ văn quốc gia, bão Sinlaku đã đạt cấp siêu bão - là một trong ba cơn bão mạnh nhất trong tháng 4 kể từ năm 1977.

Trở lên trên