MỚI NHẤT!

Đọc nhanh >>

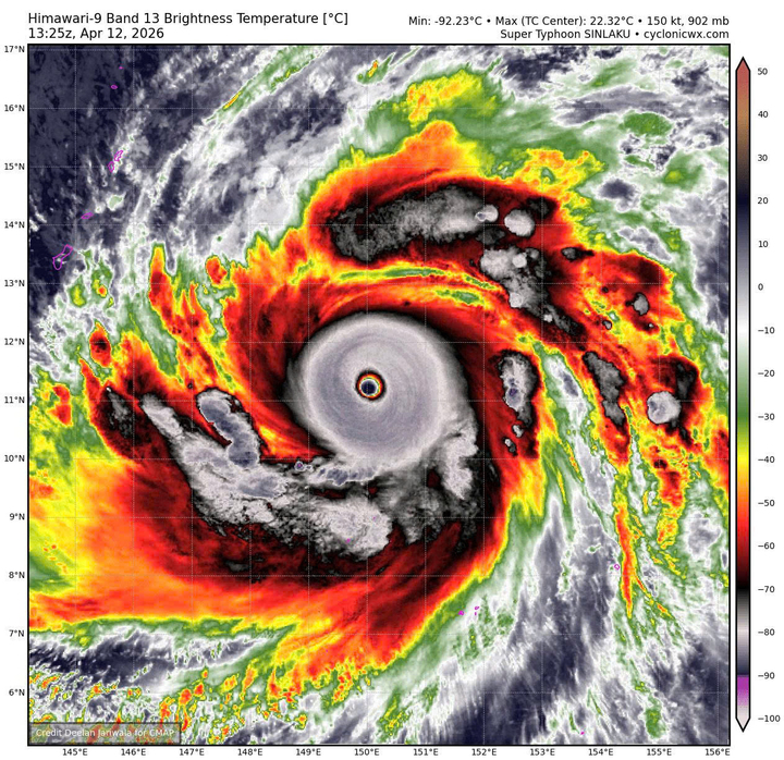
Sinlaku đạt cấp siêu bão, là một trong ba cơn bão mạnh nhất tháng 4 trong 49 năm

Huệ Nguyễn/VTC News | 13-04-2026 - 07:18 AM | Xã hội

Theo Trung tâm Dự báo khí tượng thuỷ văn quốc gia, bão Sinlaku đã đạt cấp siêu bão - là một trong ba cơn bão mạnh nhất trong tháng 4 kể từ năm 1977.

Sinlaku mạnh lên thành siêu bão

Theo đó, tối nay (12/4), sức gió vùng tâm siêu bão Sinlaku đã tăng lên 105 kts, tương đương cấp 16, giật trên cấp 17.

"Đây là cơn bão đầu tiên trong năm 2026 đạt cường độ này, đồng thời là lần đầu xuất hiện trong tháng 4 kể từ bão Surigae (2021) và chỉ là lần thứ ba kể từ năm 1977.

Hiện tại, Sinlaku cũng là cơn bão mạnh nhất thế giới trong năm 2026, với áp suất trung tâm 920 hPa (tính đến thời điểm hiện tại), vượt qua bão Maila ở khu vực Úc (924 hPa)", cơ quan khí tượng nhận định.

Bão Sinlaku đã mạnh lên cấp siêu bão. (Nguồn: NCHMF)

Trước đó, cơ quan khí tượng cho hay, đây sẽ là siêu bão đầu tiên hoạt động trên khu vực Tây Bắc Thái Bình Dương trong mùa bão lũ năm nay và là một trong số rất ít cơn siêu bão xuất hiện ngay trong tháng 4.

Sau khi mạnh lên thành siêu bão, siêu bão Sinlaku sẽ đổi hướng di chuyển lên phía Bắc, sau đó nhiều khả năng tiếp tục đổi hướng một lần nữa thành hướng Bắc Đông Bắc vào khoảng ngày 16-17/4 và di chuyển tới vùng biển phía Đông của Nhật Bản, cường độ sẽ giảm cấp dần.

Hiện tại, các dự báo bão đều cho thấy bão không có khả năng đi vào khu vực Biển Đông. Trung tâm Dự báo khí tượng thủy văn vẫn đang theo dõi sát diễn biến của siêu bão đầu mùa này.

Ngoài ra, dự báo về thời tiết cả nước trong vòng 30 ngày tới (từ nay đến 10/5), cơ quan khí tượng cho hay, trên khu vực Biển Đông ít có khả năng xuất hiện bão hoặc áp thấp nhiệt đới (trung bình nhiều năm trên khu vực Biển Đông là 0,3 cơn và không đổ bộ vào đất liền Việt Nam).

Từ tháng 7-9, hoạt động của bão hoặc áp thấp nhiệt đới trên Biển Đông và đổ bộ vào đất liền nước ta ở mức tương đương trung bình nhiều năm với 6,5 cơn trên Biển Đông, đổ bộ vào đất liền 2,9 cơn.

"Trong bối cảnh biến đổi khí hậu, thời tiết, khí hậu ngày càng diễn biến phức tạp với nhiều hình thái nguy hiểm, cực đoan, đề nghị các cấp chính quyền và người dân thường xuyên cập nhật và tích hợp thông tin dự báo, cảnh báo khí tượng thủy văn trong các bản tin ngắn hạn 1-3 ngày, để kịp thời điều chỉnh các kế hoạch sản xuất, phương án ứng phó phù hợp đảm bảo an toàn cho các hoạt động sản xuất và dân sinh", cơ quan khí tượng lưu ý.

Huệ Nguyễn/VTC News

vtcnews.vn

CÙNG CHUYÊN MỤC

XEM
Trở lên trên