MỚI NHẤT!

Đọc nhanh >>
Tin tức, bài viết mới nhất về

Siêu bão

Trung Quốc lại làm điều thế giới chưa từng: Xây đảo di động giữa biển sâu, đủ để mang theo gần 240 người liên tục 4 tháng không nghỉ, chịu được siêu bão cấp 17 và bom hạt nhân

Trung Quốc lại làm điều thế giới chưa từng: Xây đảo di động giữa biển sâu, đủ để mang theo gần 240 người liên tục 4 tháng không nghỉ, chịu được siêu bão cấp 17 và bom hạt nhân

21/11/2025 10:16

Giữa lúc sự cạnh tranh ở các khu vực biển sâu và công nghệ hải dương ngày càng gay gắt, Trung Quốc đang bí mật xây dựng một trong những cơ sở khoa học táo bạo nhất thế giới đó là một đảo nhân tạo di động, tự duy trì trong nhiều tháng và đặc biệt có khả năng chịu được sức công phá của vụ nổ hạt nhân.

Bão Phượng Hoàng sẽ mạnh lên thành siêu bão, dự báo đổ bộ vào đâu?

Bão Phượng Hoàng sẽ mạnh lên thành siêu bão, dự báo đổ bộ vào đâu?

09/11/2025 06:55

Theo phân tích của cơ quan khí tượng, bão Fung-Wong có khả năng đạt cấp siêu bão và được đánh giá là di chuyển bất thường.

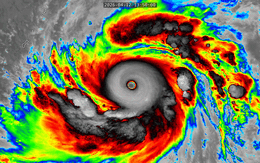
Phượng Hoàng có thể trở thành siêu bão ngay từ đêm mai, dự báo đạt cường độ cực đại khi đổ bộ vào đất liền

Phượng Hoàng có thể trở thành siêu bão ngay từ đêm mai, dự báo đạt cường độ cực đại khi đổ bộ vào đất liền

07/11/2025 15:46

Bão nhiệt đới dữ dội Fung-wong có sức gió mạnh nhất duy trì là 95 km/h trước bình minh vào thứ Sáu, 7/11.

“Quái vật” Phượng hoàng hình thành, cảnh báo bão mạnh cấp siêu bão

“Quái vật” Phượng hoàng hình thành, cảnh báo bão mạnh cấp siêu bão

06/11/2025 09:06

Áp thấp nhiệt đới ngay sau bão Kalmaegi đã mạnh lên thành cơn bão có tên quốc tế là Fung-wong (Phượng hoàng) vào sáng nay.

Cảnh báo hiện tượng bão mạnh tăng gấp 4 lần

Cảnh báo hiện tượng bão mạnh tăng gấp 4 lần

31/10/2025 07:21

Một nghiên cứu mới của Đại học Hoàng gia London (Anh) cho thấy biến đổi khí hậu đang làm gia tăng tần suất các cơn bão cực mạnh như Melissa.

Siêu bão mạnh nhất 2025 “xé toạc” mọi thứ: Video cận cảnh cho thấy sự tàn khốc

Siêu bão mạnh nhất 2025 “xé toạc” mọi thứ: Video cận cảnh cho thấy sự tàn khốc

29/10/2025 16:40

Có đến 1,5 triệu người có thể bị ảnh hưởng bởi cơn bão thế kỷ này.

Siêu bão mạnh nhất thế giới 2025 chính thức đổ bộ: Mắt bão "hồi sinh" đáng sợ, Cuba đối diện kịch bản xấu

Siêu bão mạnh nhất thế giới 2025 chính thức đổ bộ: Mắt bão "hồi sinh" đáng sợ, Cuba đối diện kịch bản xấu

29/10/2025 09:59

Siêu bão Melissa chưa kịp rời Jamaica đã bất ngờ “hồi sinh” trên biển Caribe, khiến Cuba đối mặt nguy cơ hứng trọn sức mạnh cấp 4.

Siêu bão mạnh nhất thế giới 2025 vừa đổ bộ đã gây thương vong, dự báo những kịch bản chưa từng có tiền lệ

Siêu bão mạnh nhất thế giới 2025 vừa đổ bộ đã gây thương vong, dự báo những kịch bản chưa từng có tiền lệ

28/10/2025 17:06

Trường học, sân bay đều đã đóng cửa, người dân cũng nhận được lệnh bắt buộc phải ở trong nhà.

Một siêu bão chính thức trở thành bão mạnh nhất thế giới năm 2025, vượt qua Ragasa: Đổ bộ sáng nay, hàng triệu người “nín thở” ứng phó

Một siêu bão chính thức trở thành bão mạnh nhất thế giới năm 2025, vượt qua Ragasa: Đổ bộ sáng nay, hàng triệu người “nín thở” ứng phó

28/10/2025 13:38

Trong toàn bộ lịch sử từ lúc được ghi nhận, chỉ có 9 cơn bão từng mạnh hơn Melissa.

Siêu bão Melissa mạnh nhất từ thế kỷ XIX đi vào vùng Caribe, tàu chiến Mỹ khẩn cấp di chuyển

Siêu bão Melissa mạnh nhất từ thế kỷ XIX đi vào vùng Caribe, tàu chiến Mỹ khẩn cấp di chuyển

28/10/2025 11:00

Siêu bão Melissa đã đạt sức gió lên đến 282 km/giờ, vượt xa tiêu chuẩn trên 221 km/giờ của cấp "trên 17" trong thang sức gió Beaufort mở rộng.

Ảnh hiếm siêu bão Ragasa từ vũ trụ: Cảnh tượng dữ dội như nuốt chửng Trái Đất, phi hành gia ISS nghẹt thở

Ảnh hiếm siêu bão Ragasa từ vũ trụ: Cảnh tượng dữ dội như nuốt chửng Trái Đất, phi hành gia ISS nghẹt thở

24/09/2025 13:32

Những hình ảnh hiếm có do phi hành gia Nhật Bản Kimiya Yui ghi lại đã khiến dư luận thế giới rùng mình trước sức mạnh của siêu bão Ragasa.

Ngày mai, siêu bão mạnh nhất thế giới sẽ đổ bộ vào Quảng Ninh - Hưng Yên vào thời điểm nào?

Ngày mai, siêu bão mạnh nhất thế giới sẽ đổ bộ vào Quảng Ninh - Hưng Yên vào thời điểm nào?

24/09/2025 08:36

Dự báo khoảng trưa đến chiều ngày 25/9, vùng tâm bão Ragasa (bão số 9) đi vào đất liền nước ta.

Siêu bão Ragasa đe dọa Hồng Kông: Nguy cơ lặp lại 'thảm họa' như bão Mangkhut 2018

Siêu bão Ragasa đe dọa Hồng Kông: Nguy cơ lặp lại 'thảm họa' như bão Mangkhut 2018

23/09/2025 17:20

Hồng Kông (Trung Quốc) đang phải đối mặt với cơn bão Ragasa có khả năng gây thiệt hại nặng nề nhất kể từ sau bão Mangkhut năm 2018.

Siêu bão khả năng suy yếu khi vào nước ta song nếu bão di chuyển lệch "tình hình sẽ khác hoàn toàn"

Siêu bão khả năng suy yếu khi vào nước ta song nếu bão di chuyển lệch "tình hình sẽ khác hoàn toàn"

23/09/2025 14:59

Bão số 9 là cơn bão cường độ đặc biệt mạnh và đang duy trì cường độ siêu bão cấp 16-17.

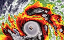
Mắt siêu bão Ragasa nhìn từ vũ trụ: Hình ảnh khiến cả thế giới lo lắng

Mắt siêu bão Ragasa nhìn từ vũ trụ: Hình ảnh khiến cả thế giới lo lắng

23/09/2025 11:35

Siêu bão Ragasa, cơn bão mạnh nhất năm nay, đang di chuyển qua phía Bắc Philippines, hướng về phía Nam Trung Quốc, gây ra gió giật và sóng lớn.

Siêu bão Ragasa di chuyển quá nhanh, ảnh hưởng nước ta rất sớm

Siêu bão Ragasa di chuyển quá nhanh, ảnh hưởng nước ta rất sớm

23/09/2025 09:15

Tối qua, siêu bão Ragasa đã vào Biển Đông, trở thành bão số 9 năm nay. Dự báo, bão duy trì tốc độ rất nhanh 20-25km/h, ngay đêm mai (24/9) đã gây mưa lớn cho miền Bắc nước ta, từ sáng sớm ngày 25/9, gió bắt đầu giật mạnh trên đất liền từ Quảng Ninh đến Thanh Hoá.

Siêu bão dữ dội nhất hành tinh năm 2025 chắc chắn đổ bộ vào nước ta, khi nào bắt đầu mưa to gió lớn?

Siêu bão dữ dội nhất hành tinh năm 2025 chắc chắn đổ bộ vào nước ta, khi nào bắt đầu mưa to gió lớn?

23/09/2025 06:51

Đây là cơn bão có cường độ rất mạnh, di chuyển nhanh nên các hình thái thiên tai hoàn toàn có thể xảy ra dù bão có khả năng sẽ suy yếu dần.

Siêu bão Ragasa quần thảo Philippines, toàn khu vực báo động

Siêu bão Ragasa quần thảo Philippines, toàn khu vực báo động

22/09/2025 21:04

Siêu bão Ragasa quét qua miền Bắc Philippines vào chiều 22-9 và dự báo gây ảnh hưởng tới một số khu vực khác tại châu Á trong những ngày tới.

Philippines và Hong Kong (Trung Quốc) khẩn cấp ứng phó siêu bão Ragasa

Philippines và Hong Kong (Trung Quốc) khẩn cấp ứng phó siêu bão Ragasa

22/09/2025 19:53

Ngày 22/9, chính quyền Philippines cho biết hơn 10.000 người đã được sơ tán tới trường học và trung tâm lánh nạn khi siêu bão Ragasa tiến sát miền Bắc nước này.

Siêu bão dữ dội nhất hành tinh năm 2025 sắp đổ bộ vào nước ta: 9 tỉnh, thành đặc biệt chú ý

Siêu bão dữ dội nhất hành tinh năm 2025 sắp đổ bộ vào nước ta: 9 tỉnh, thành đặc biệt chú ý

22/09/2025 16:15

Theo dự báo, các tỉnh, thành phố ven biển từ Quảng Ninh đến Quảng Ngãi sẽ chịu tác động mạnh nhất khi siêu bão đổ bộ.

Trở lên trên